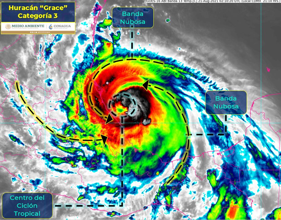
En las próximas horas, el ojo del huracán ingresará por segunda vez al territorio mexicano Veracruz
Redacción
CIUDAD DE MÉXICO.- “Grace” se intensificó rápidamente a huracán de categoría 3 en la escala Saffir-Simpson frente a la costa norte de Veracruz. En las próximas horas, el ojo del huracán ingresará por segunda vez al territorio mexicano sobre dicho estado.
Se ubica a 75 km al noreste de Nautla, Ver., y a 120 km al este-sureste de Tuxpan, Ver.
Zona de prevención por efectos de huracán desde el Puerto de Veracruz, Ver., hasta Cabo Rojo, Ver. Zona de prevención por efectos de tormenta tropical desde Cabo Rojo, Ver., hasta Barra del Tordo, Tamps.
Apunta hacia el oeste a 17 km/h con vientos sostenidos: 195 km/h y rachas: 215 km/h.

Lluvias puntuales torrenciales de 150.1 a 250.0 mm en Puebla y Veracruz; lluvias puntuales intensas de 75.1 a 150.0 mm en Tamaulipas, San Luis Potosí, Hidalgo, Tlaxcala, Oaxaca y Chiapas; así como lluvias puntuales muy fuertes de 50.1 a 75.0 mm en Querétaro y Tabasco.
Ocasiona rachas de viento de 170 a 190 km/h y oleaje de 6 a 8 metros en la costa norte de Veracruz; rachas de 100 a 120 km/h con oleaje de 3 a 5 metros de altura en las costas de Tamaulipas, con posibles trombas marinas frente a las costas de Tamaulipas y Veracruz. Se estima que el centro del huracán “Grace” ingrese a tierra por segunda vez en territorio mexicano durante esta noche y primeras horas de la madrugada del 21 de agosto en las inmediaciones de Tecolutla, Ver.
Extremar precauciones a la población en general en las zonas de los estados mencionados por lluvias, viento y oleaje (incluyendo la navegación marítima) y atender las recomendaciones emitidas por las autoridades del Sistema Nacional de Protección Civil, en cada entidad.







