Facebook
Inicio
Estado
Navolato
Culiacán
Mazatlán
Ahome
País
El Mundo
Deportes
Seguridad
Tecnología
Negocios
Buscar
22.1
C
New York
martes, abril 28, 2026
Facebook
Instagram
Twitter
Inicio
Estado
Navolato
Culiacán
Mazatlán
Ahome
País
El Mundo
Deportes
Seguridad
Tecnología
Negocios
Buscar
Inicio
Etiquetas
Oaxaca
Tag: Oaxaca
País
Determinará FGR causas del accidente en tren en Oaxaca
Reporte18
-
30 diciembre, 2025
0
País
Toca Érick tierra en Oaxaca como categoría 3
Reporte18
-
19 junio, 2025
0
País
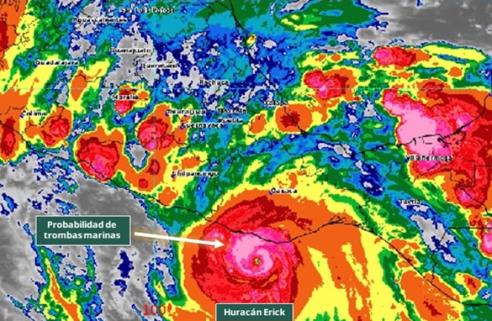
Apunta Érick como huracán de categoría 4 hacia Oaxaca
Reporte18
-
19 junio, 2025
0
País
Erick se fortalece rumbo a Oaxaca y Guerrero
Reporte18
-
17 junio, 2025
0
País
Mueve a CDMX sismo de 5.5 en Oaxaca
Reporte18
-
14 marzo, 2025
0
Seguridad
Asesinan a alcalde del PVEM en Oaxaca
Reporte18
-
19 marzo, 2024
0
País
Reportan sismo de 6.0 ubicado en Oaxaca
Reporte18
-
7 octubre, 2023
0
Seguridad
Mueren 17 migrantes tras accidente en autobús
Reporte18
-
6 octubre, 2023
0
País
Muere niña tras contagio de rabia por murciélago en Oaxaca
Reporte18
-
7 enero, 2023
0
País
Muere niño en Oaxaca por presunta rabia
Reporte18
-
28 diciembre, 2022
0
1
2
Página 1 de 2