22.1 C
New York
lunes, mayo 25, 2026

Se intensifica ‘Willa’, alcanza categoría 5

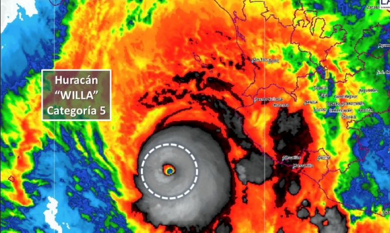
Se localiza en a 215 km al suroeste de Cabo Corrientes, Jalisco y a 280 km al sur-suroeste de las Islas Marías, Nayarit con vientos de 260 km/h, rachas de 315 km/h y desplazamiento hacia el norte a 11 km/h

Excélsior

GUADALAJARA.- El Instituto de Astronomía y Meteorología de la Universidad de Guadalajara (UdeG) informó hoy que se esperan fuertes lluvias en la zona costera de occidente y de ligeras a moderadas en el interior, por el huracán Willa categoría 5.

De acuerdo con la Conagua, “Willa se localiza en a 215 km al suroeste de Cabo Corrientes, Jalisco y a 280 km al sur-suroeste de las Islas Marías, #Nayarit con #Vientos de 260 km/h, #Rachas de 315 km/h y desplazamiento hacia el norte a 11 km/h”.

Ante este panorama se prevé que toque tierra entre el martes en la noche y miércoles, y es probable que las precipitaciones en la zona serrana provoquen deslaves, también se deberá poner a resguardo las cosas materiales y salvaguardar la vida, ya que se espera oleaje fuerte por el momento desde Nayarit hasta Sinaloa.

Señaló que en el área metropolitana de Guadalajara amaneció nublado con lluvia ligera, en las primeras horas de la mañana con gotas ocasionales, al medio día nubes y algo de sol, en la tarde nubes y poco sol, probabilidad de lluvia intermitente a partir de la tarde noche, el viento dominante soplará del sureste con rachas en la tarde, el tiempo estará cálido durante este día, templado en la noche y fresco al amanecer, con una máxima de 25 grados centígrados y una mínima de 16 grados.

Se precisó que, en la zona altos de Jalisco, en el municipio de Lagos de Moreno amaneció con nublado, en la mañana nubes y algo de sol, en la tarde nubes y poco de sol, el viento dominante soplará del este con rachas ocasionales en la tarde, el tiempo estará templado durante el día y la noche, y fresco al amanecer, con una máxima de 22 grados y una mínima de 13.

Resaltó que, en la zona norte del estado, en el municipio de Colotlán amaneció con nublado, en la mañana nublado, en la tarde con nubes, probabilidad de lluvia en la tarde, el viento dominante soplará del este con rachas ocasionales, el tiempo se espera poco cálido durante el día, templado por la noche y fresco al amanecer, con una máxima de 23 grados y una mínima de 14.

Destacó que en la zona costa, en el municipio de Puerto Vallarta amaneció nublado con gotas ocasionales, en la mañana y la tarde nublado, probabilidad de lluvia en el transcurso del día, la brisa marina soplará del noreste, el tiempo estará caluroso durante el día, templado por la noche y al amanecer, con una temperatura máxima de 26 grados centígrados y una mínima de 24.

Precisó que en el municipio de Autlán de Navarro amaneció nublado, en la mañana y tarde nublado, probabilidad de lluvia aislada, el viento soplará del noreste por la tarde con algunas rachas ocasionales, el tiempo estará templado durante el día y por la noche, y fresco al amanecer, con una temperatura máxima de 24 grados y una mínima de 18 grados centígrados.

Detalló que, en la zona sur del estado, en el municipio de Zapotlán El Grande amaneció nublado con probabilidad de lluvia ligera, en la mañana con nubes, en la tarde nublado, el viento dominante soplará variable con rachas ocasionales, probabilidad de lluvia intermitente durante el día, el tiempo estará templado durante el día y en la noche, y fresco al amanecer, con una temperatura máxima de 21 grados y una mínima de 15.

DEJA UNA RESPUESTA

Por favor ingrese su comentario!
Por favor ingrese su nombre aquí

Últimos artículos