Continúa alejándose de las costas nacionales, se dirige hacia aguas mas frías, por lo que comienza a debilitarse paulatinamente
Redacción
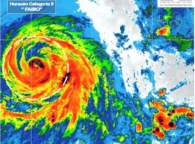
CIUDAD DE MÉXICO.- El huracán Fabio categoría 2 en la Escala Saffir-Simpsón se desplaza paralelo a las costas de Baja California y continúa alejándose de las costas nacionales, se dirige hacia aguas mas frías, por lo que comienza a debilitarse paulatinamente.
A las 04:15 horas el fenómeno se localizaba a mil 130 kilómetros al suroeste de Cabo San Lázaro, Baja California Sur y a mil 180 kilómetros al oeste-suroeste de Cabo San Lucas, Baja California Sur.

Presenta vientos sostenidos de 165 kilómetros por hora y rachas de 205 kilómetros por hora.
Para este miércoles se prevén lluvias con intervalos de chubascos en zonas de Sinaloa, Coahuila, Zacatecas, Aguascalientes, San Luis Potosí, Tamaulipas, Nayarit,
Guanajuato, Querétaro, Hidalgo, Morelos, Tlaxcala, Guerrero, Tabasco y
Campeche, y lluvias aisladas en Sonora, Nuevo León y Colima.
Las precipitaciones pueden ser con actividad eléctrica y granizo.
Temperaturas máximas de 40 a 45 grados Celsius, se estiman en zonas de Baja
California, Sonora, Sinaloa, Nayarit, Coahuila, Nuevo León, Tamaulipas, Hidalgo y
Morelos, y de 35 a 40 grados Celsius en regiones de Baja California Sur, Jalisco,
Colima, Michoacán, Guerrero, Oaxaca, Chiapas, Chihuahua, Durango, Zacatecas,
San Luis Potosí, Aguascalientes, Querétaro, Puebla, Veracruz, Tabasco,
Campeche, Yucatán y Quintana Roo.


